Tipos de árboles en España
Algunos tipos de árboles de España son el abeto blanco (Abies alba), el pinsapo (Abies pinsapo), el arce menor (Acer campestre) y el roble valenciano (Quercus faginea). Se calcula que en España hay unos siete millones de árboles, con muchísimas variedades entre ellos. Si quieres conocer algunos de los más representativos del país, quédate leyendo este artículo de EcologíaVerde sobre los diferentes tipos de árboles en España, sus nombres, características y fotos.
- Abeto blanco (Abies alba)
- Pinsapo (Abies pinsapo)
- Arce menor (Acer campestre)
- Arce de Montpellier (Acer monspessulanum)
- Acirón (Acer opalus)
- Roble valenciano (Quercus faginea)
- Aliso (Alnus glutinosa)
- Madroño (Arbutus unedo)
- Abedul común (Betula pendula)
- Boj (Buxus sempervirens)
- Castaño (Castanea sativa)
- Algarrobo europeo (Ceratonia siliqua)
Abeto blanco (Abies alba)
El abeto blanco es un árbol perennifolio originario de las zonas montañosas de Europa. En España crece en los Pirineos, en el macizo de Montseny, en la comunidad foral de Navarra, en Barcelona, Huesca y Lérida. Es muy valorado por su madera blanca, ligera y con poca resina que la hacen fácil de trabajar para los artesanos, especialmente los que hacen instrumentos musicales como órganos, y también para los quienes fabrican papel. Su madera también es muy usada en la ebanistería fina. Puede medir entre 20 y 50 metros de alto.
Aquí podrás descubrir a más Tipos de árboles de hoja perenne y Tipos de árboles con piñas.
Pinsapo (Abies pinsapo)
El hábitat natural del Pinsapo está en Andalucía, principalmente en Málaga y Cádiz. Es endémico de la zona y está considerado como “reliquia de los bosques de coníferas terciarios”. Ya desde 1921 se hablaba del peligro en que se encontraba por la erosión de la tierra, y la necesidad de declarar sus zonas como parques nacionales para protegerlo.
Posee un alto valor paisajístico por llegar a medir hasta 25 metros de alto, y tiene valor científico, por ser una especie endémica muy estenócora, es decir, con distribución reducida.
Arce menor (Acer campestre)
El arce menor es un árbol caducifolio que llega a medir de 7 a 10 metros de alto. Es endémico de la península ibérica, con mucho arraigo en la zona norte de España. Es muy resistente a la sequía y a los suelos infértiles. Las hojas se utilizan para alimentar al ganado y la madera es muy apreciada por los artesanos, al ser dura y compacta.
Aquí puedes conocer a más Tipos de árboles de hoja caduca.
Arce de Montpellier (Acer monspessulanum)
El arce de Montpellier es un árbol de tamaño medio que mide entre 7 y 10 metros de alto. Lo podemos encontrar en Alicante, Ávila y La Molata en Murcia. Florece de abril a mayo, con una flor discreta de color durazno. Puede llegar a vivir cien años, aunque su crecimiento es muy lento. Su madera es rosada, por lo que se valora mucho entre los artesanos torneros, y cuando es de gran diámetro, también los artesanos de ebanistería la usan en sus muebles.
Acirón (Acer opalus)
El acirón es un tipo de arce, más bien pequeño, que puede medir hasta 7 metros de altura y es muy común en Mallorca. Su madera es rosada, o blanco-rojiza, por lo que es valorada por los maestros carpinteros. Es buen material como combustible, pues arde con facilidad. Se valora mucho en la jardinería ya que en otoño, sus hojas tienen tonos amarillos, rojos y naranjas.
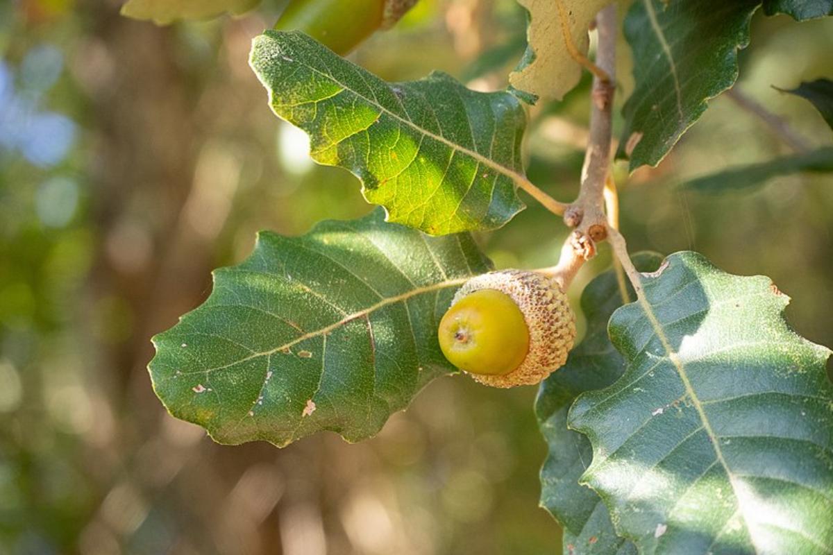
Roble valenciano (Quercus faginea)
Es típico del clima mediterráneo de España, también se le conoce como quejigo. Está presente en toda la zona peninsular, principalmente en la zona mediterránea de Valencia, pero también hay en Murcia y Málaga. Antiguamente había en Mallorca. Es muy resistente a la sequía y puede llegar a medir una altura de 20 metros.
Es valorado como planta medicinal porque la cocción de sus hojas alivia el dolor de muelas, la gastritis, la diabetes y algunos tipos de inflamaciones. Su madera es usada para hacer toneles de gran calidad, pues se considera que su madera dura para toda la vida.
Aliso (Alnus glutinosa)
Otro de los distintos tipos de árboles españoles que debemos incluir en esta lista es el aliso, ya que es nativo de España. Se le puede encontrar a lo largo de toda la península, en lagos y ríos, ya que se crece bien en ambientes húmedos. Es un árbol que enriquece mucho el suelo en el que vive, ya que sus raíces tienen unos nódulos en los que hay una bacteria que permite fijar el nitrógeno atmosférico, originando con ello que el suelo se enriquezca. Suele medir de 17 a 22 metros de altura, pero puede llegar a los 30 metros.
Madroño (Arbutus unedo)
El madroño es nativo de la región mediterránea y de Europa occidental, pero se puede ver en más regiones. Por ejemplo, se le puede encontrar en el Prepirineo, Salamanca, Tarragona y Jaén. Puede llegar a medir de 8 a 10 metros de altura. Sus frutos son comestibles y muy preciados. Desde 2003 se le ha incluido en el Catálogo Español de Especies Exóticas Invasoras ya que tiende un gran potencial colonizador y en ese paso va destruyendo otras especies autóctonas.
Aquí puedes conocer más sobre el Madroño: cuidados y poda y Madroño: propiedades, beneficios y contraindicaciones.
Abedul común (Betula pendula)
El abedul común o abedul europeo es originario de Eurasia, pero se ha adaptado muy bien a la Cuenca del Mediterráneo. Tiene un tronco delgado con corteza blanca, cuya base se va oscureciendo y agrietando con los años. Puede llegar a medir entre 10 y 30 metros de altura.
Es muy apreciado por sus propiedades curativas, ya que el líquido de sus hojas cocidas es diurético, desinfectante de las vías urinarias, coadyuvante en los malestares reumáticos y en el control de los pacientes diabéticos no insulinodependientes.
Boj (Buxus sempervirens)
El boj común es nativo de la costa mediterránea. Es considerado mediano, ya que no llega a medir más de 10 metros de alto.
Es muy apreciado en la jardinería, ya que mantiene sus hojas verdes incluso en el invierno, pues éstas son perennes. Se usa como vegetación de relleno. Su madera es pesada y dura, por lo que se presta para la elaboración de pequeñas esculturas con muchos detalles.
Castaño (Castanea sativa)
El castaño es un árbol que crece rápido y mucho, puede alcanzar 30 metros de alto. También crece a lo ancho, a la vez que se va haciendo hueco. Hay ejemplares que logran albergar varias personas en su interior. Son tan longevos que varios han llegado a cumplir miles de años.
Durante mucho tiempo se creyó que el imperio romano había llevado el castaño a las zonas que iba conquistando hace 2000 años, pero estudios recientes sobre los fósiles de los árboles y restos de carbón de madera, han demostrado que ya existía en la zona desde hace más de 300.000 años.
Algarrobo europeo (Ceratonia siliqua)
El algarrobo europeo es conocido también como pan de San Juan. Llega a medir 10 metros de altura. Es endémico de la cuenca del Mediterráneo, incluida la parte española. En la península ibérica lo podemos encontrar desde Cataluña hasta la zona del Algarve portugués.
Las vainas secas del algarrobo tienen un gran valor culinario, ya que saben parecido al chocolate, con la ventaja de que no contienen una enzima llamada teobromina que para algunas personas resulta alergénica y es tóxica para algunos animales, como los perros y los gatos, por lo que sí pueden comer algarroba. Descubre aquí la Algarroba: propiedades, beneficios y contraindicaciones.
Ahora que ya conoces distintos tipos de árboles en España, te animamos a conocer mejor la Flora y fauna de España.
Si deseas leer más artículos parecidos a Tipos de árboles en España, te recomendamos que entres en nuestra categoría de Plantas de exterior.
- Árboles singulares de España. (2004). España: Ediciones Mundi-Prensa.
- LÓPEZ LILLO, A., Sánchez de Lorenzo Cáceres, J. M. (2001). Árboles en España. Manual de identificación.. España: Ediciones Mundi-Prensa.

Alguien me podría decir por favor de qué árbol provienen estas “Semillas”?